Infinity Space Technology

Unlocking the Power of Satellite Data

At Infinity Space, we harness high-resolution satellite imagery and geospatial intelligence to provide organisations with the insights they need to make data-driven decisions. By combining remote sensing, AI-powered analysis, and local expertise, we help turn orbital data into practical applications that improve environmental stewardship, land management, and infrastructure planning. Our downstream services bring space technology to the hands of communities, businesses, and decision-makers. Whether you are managing natural resources or developing urban policy, we deliver clarity from above.

Geospatial Services

Geospatial Intelligence and Mapping Services

Infinity Space’s Geospatial Service harnesses high-resolution satellite and aerial data to create detailed digital terrain and land-use maps. By integrating LiDAR, multispectral imagery, and advanced GIS analytics, we deliver precise spatial insights for environmental monitoring, urban planning, and infrastructure development.

Our expert analysis uncovers patterns and trends through change detection, heat mapping, and spatial modeling—empowering you to make data-driven decisions. Whether you need bespoke mapping solutions, interactive dashboards, or automated geoprocessing workflows, Infinity Space partners with you at every stage to transform raw geodata into actionable intelligence.

Infinity Space Technology

Supporting Wales’ Post-Industrial Landscape

Our team specialises in using satellite imagery to monitor and analyse legacy coalfields, disused quarries, and other post-industrial sites across South Wales and the UK. By mapping land shifts, vegetation regrowth, and surface degradation, we provide valuable tools for regeneration projects, conservation, and public safety planning. We work with environmental agencies, councils, and regeneration bodies to build a clearer picture of land condition and risk. These insights support sustainable redevelopment, reduce surveying costs, and inform future land use strategies.

Geospatial Services

Water Resource Protection and Management

Infinity Space’s Water Resource Protection service uses high-resolution satellite imagery, GIS analytics, and hydrodynamic modelling to deliver a complete picture of freshwater systems. We delineate watershed boundaries, monitor surface water extents, and pinpoint contamination pathways by fusing multispectral and thermal data with ground-based sensor networks.

Our customised analytics platform and real-time alerting system empower water utilities, environmental agencies, and conservation groups to anticipate flood events, manage drought stress, and intercept pollutants before they spread. Through interactive dashboards, predictive models, and automated reporting workflows, we help you secure water supplies, protect aquatic ecosystems, and comply with regulatory standards.

Infinity Space Technology
Geospatial Services

Coal Heap Safety Monitoring with Satellite Data

Coal heap failures can trigger slope collapses, hazardous runoff and long-term environmental damage. Our satellite-based monitoring service uses Synthetic Aperture Radar (SAR) for centimetre-scale ground displacement mapping, multispectral imagery to detect moisture and vegetation stress, and thermal data to highlight heat anomalies. By analysing time-series stacks of satellite observations, we identify early-warning signs of slope instability and erosion pathways without the need for ground deployment.

Our cloud-hosted dashboard fuses real-time satellite feeds with predictive InSAR models and hydrological analyses to generate automated alerts when predefined stability thresholds are breached. This empowers landowners, regulators and environmental agencies across the UK to prioritise stabilisation works, optimise drainage design and schedule remedial planting—protecting communities, infrastructure and watercourses from the legacy hazards of coal spoil.

Infinity Space Technology

Precision Insights for Agriculture and Land Use

We deliver tailored geospatial solutions for farmers, landowners, and agricultural advisors, offering insights into soil moisture, crop health, and pasture management. From upland grazing to lowland arable, our Earth observation services enable smarter land use, enhanced yields, and greater sustainability across the food chain. Our satellite data can reduce reliance on manual fieldwork and help optimise inputs such as water and fertiliser. This not only supports profitability but aligns with environmental and climate-resilient goals in modern agriculture.

Geospatial Services

Advanced Satellite-Driven Coal Heap Safety Monitoring

Our comprehensive programme harnesses high-resolution Synthetic Aperture Radar (SAR) interferometry—drawing on Sentinel-1 and TerraSAR-X time-series—to map surface displacements at millimetre precision. We complement this with multispectral optical imagery to derive moisture indices (NDWI) and vegetation-health metrics (NDVI), alongside thermal infrared scans for hotspot detection.

Our user-centric platform delivers rolling risk assessments through an interactive dashboard that visualises vector displacement maps, moisture anomalies and predicted failure zones overlaid on your custom GIS layers. Threshold-driven alerts—configurable by rainfall intensity, displacement rate or spectral index change—trigger email and SMS warnings, ensuring engineers and regulators can prioritise stabilisation works, optimise drainage design and plan remedial planting.

Infinity Space Technology

Coastal Change and Flood Resilience Mapping

Rising sea levels and coastal erosion pose significant risks to communities across Wales and the UK. Our geospatial monitoring tools track shoreline change, flood zones, and sediment movement using multispectral imagery and temporal analysis—providing critical support for resilience planning, civil engineering, and insurance assessments. With regular satellite updates, we help stakeholders stay ahead of risk and prepare for long-term coastal challenges. These insights empower local councils, infrastructure providers, and communities to make proactive decisions.

Geospatial Services

Satellite-Driven Police Intelligence for Crime Prevention

Satellite mapping empowers law enforcement with a comprehensive, bird’s-eye view of urban and rural landscapes. By integrating high-resolution optical imagery, Synthetic Aperture Radar (SAR) and thermal infrared data, agencies can monitor critical infrastructure, track suspect vehicles along clandestine routes and spot covert gatherings.

Customisable dashboards translate complex spatial data into actionable intelligence—from heatmaps of illicit route usage to 3D terrain models that inform surveillance and tactical planning. Threshold-based alerts flag unusual activity such as unauthorised encampments or vehicle clustering in restricted zones, enabling rapid response and optimal resource allocation.

Infinity Space Technology
Geospatial Services

Opencast Mining Analysis and Safety

We generate accurate digital elevation models and volumetric calculations to monitor pit progression, overburden removal and stockpile changes. Time-series deformation maps reveal subtle subsidence or slope movements, while moisture and dust indices flag potential geotechnical and environmental hazards before they escalate.

Through a secure, cloud-hosted platform, operators and regulators access real-time alerts and risk dashboards tailored to opencast workflows. Configurable thresholds on displacement rate, pit wall angle and surface runoff trigger automated notifications, enabling pre-emptive engineering interventions and proactive water management.

Infinity Space Technology

Infrastructure Monitoring and Development Tracking

We provide satellite-based progress tracking for large-scale infrastructure and construction projects. By detecting changes over time, we help stakeholders monitor development, reduce field visits, and flag deviations from plan. Ideal for transportation corridors, defence installations, and aerospace business parks. Our services create a reliable digital audit trail for project managers, contractors, and regulatory bodies. Whether monitoring roads, rail, or urban expansion, we bring transparency and consistency from planning to completion.

Geospatial Services

Satellite Archaeology: Discovery and Conservation

Satellite imagery offers a non-intrusive window into the past by revealing buried features through subtle variations in soil, crop and moisture conditions. High-resolution optical sensors detect cropmarks and soil marks that betray ancient ditches, foundations and roadways, while multispectral and hyperspectral data highlight mineralogical anomalies associated with human activity.

Beyond discovery, regular satellite overpasses enable continuous monitoring of site health and integrity. Change-detection algorithms flag erosion of earthworks, encroaching vegetation and unauthorised disturbance, while spectral indices track shifts in ground cover that may expose or obscure archaeological remains. Automated alerts and interactive dashboards help heritage managers prioritise conservation tasks—whether stabilising vulnerable mounds, controlling invasive plants or assessing the impact of nearby development—ensuring our shared past is safeguarded from modern threats.

Infinity Space Technology

A Local Groundstation, A Global Reach

Our work is powered by Infinity Groundstation in Maesteg—giving us a unique position in the UK's geospatial ecosystem. This on-site satellite communications facility enables rapid data access, strong connectivity, and opportunities for custom satellite downlink solutions in future missions. Our vision is to make satellite data more accessible, actionable, and rooted in real-world needs. From South Wales, we connect local challenges to global technology, offering unmatched speed and flexibility. As we expand, Infinity Groundstation will continue to support national innovation in satellite data and beyond.

Geospatial Services

Satellite-Driven Mine Resource Planning and Management

Our mine resource management service use high-resolution optical and radar satellite data to create precise 3D terrain and volumetric models of mineral deposits and overburden. By integrating multispectral imagery with digital elevation models, we map grade variability, delineate ore boundaries and optimise pit designs before a single shovel turns.

Once operations begin, continuous satellite monitoring tracks stockpile volumes, detection of unauthorized excavation and subtle ground deformation around tailings dams. Automated change-detection workflows flag variations in surface moisture, vegetation health and subsidence, helping you manage water buildup, mitigate erosion and ensure environmental compliance.

Infinity Space Technology

Turning Satellite Intelligence into Actionable Flood Protection

At Infinity Space, we utilise high-resolution satellite imagery and advanced geospatial data analytics to deliver accurate, timely flood risk assessments. Our solutions support the development of early warning systems, strategic land use planning, and the design of resilient infrastructure. By identifying flood-prone areas and modelling potential impact zones, we enable local councils, emergency services, and environmental agencies to make informed decisions that reduce risk and protect communities. Whether it's monitoring rainfall patterns, river basin dynamics, or changes in land elevation, our space-based insights help predict, prepare for, and ultimately mitigate the devastating consequences of flooding, before they happen.

Geospatial Services

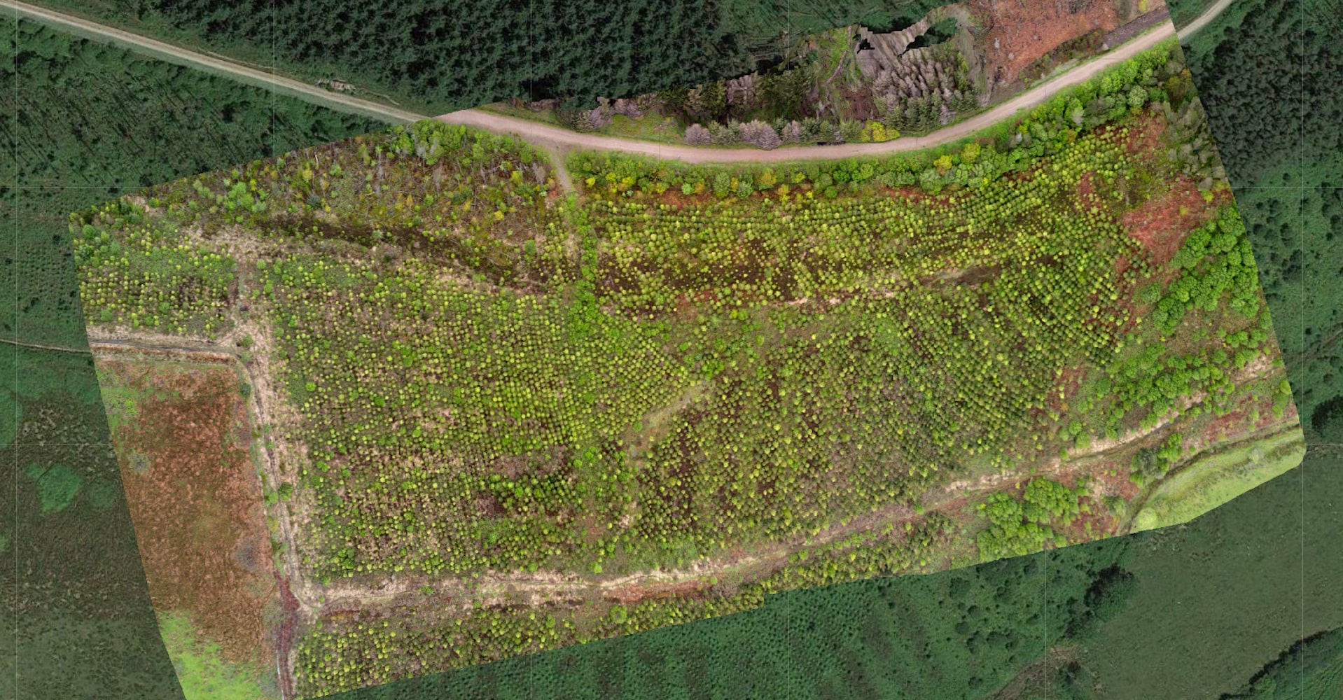
Satellite-Driven Forestry Management

Satellite data underpins comprehensive forest mapping by fusing high-resolution optical imagery, radar interferometry and LiDAR-derived elevation models. We generate detailed canopy height maps, biomass estimates and species distribution layers to inform sustainable harvesting, reforestation zoning and biodiversity assessments.

Through regular satellite revisits and time-series analysis, we monitor canopy health, detect pest outbreaks and flag unauthorised logging with pinpoint accuracy. Custom dashboards visualise trends in deforestation, moisture stress and fire risk, triggering automated alerts when critical thresholds are breached. This continuous intelligence enables proactive interventions—from targeted thinning and pest management to firebreak planning and carbon stock verification—ensuring resilient forests and robust environmental reporting.

Infinity Space Technology

Preserving the Natural World Through Orbital Insight

Infinity Space help organisations safeguard vital natural resources through real-time satellite monitoring and environmental analytics. From tracking deforestation and illegal land use to observing coastal erosion and changes in vegetation health, our geospatial solutions offer a clear, continuous picture of the Earth's surface. These insights empower conservationists, land managers, and policy-makers to act swiftly and effectively to preserve biodiversity, protect water sources, and maintain the balance of fragile ecosystems. By translating complex satellite data into actionable environmental intelligence, we support sustainable development and long-term stewardship of forests, wetlands, marine environments, and beyond, ensuring our planet's resources are managed wisely for generations to come.

Infinity Space Technology